电影天堂-电影天堂官方最快发布站

您现在所在的位置 : 电影天堂-电影天堂官方最快发布站 > 汕尾市自然资源局 > 电影天堂公开  > 五公开专栏 > 执行公开
汕尾市华侨管理区中心区侨惠公路东侧九区路口建设用地规划许可证批前公示
  • 2025-08-07 13:29
  • 来源: 本网
  • 发布机构: 汕尾市自然资源局
  • 【字体:    

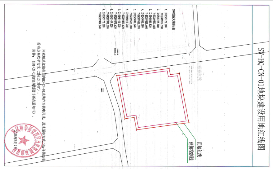
  依照《广东省城乡规划条例》第二十九条的有关规定,对建设用地规划许可证相关事项公示如下:

  用地单位:广东华电储能有限公司

  用地位置:汕尾市华侨管理区中心区侨惠公路东侧九区路口。

  用地性质:供电用地。

  用地面积:25713.39㎡。    

  建设用地规划许可证的具体内容,可到我局咨询或登录网站(//dyttofficial.com/swgtj)查询。相关利益人如果对用地规划许可有意见,可在公示之日起十日内,依照有关规定向我局提出申述,逾期未提出的,视为放弃上述权利。         

  特此公示    

  联系人: 陈先生    联系电话:0660-3377096

  附:SW-HQ-CN-01地块建设用地红线图。

 

汕尾市自然资源局

2025年8月7日 


关联稿件:
相关附件:
扫一扫在手机打开当前页

您访问的链接即将离开“汕尾市自然资源局”网站,是否继续?